Zpět na článek In-počasí

Supertajfun Mawar ve čtvrtek odpoledne

Článek
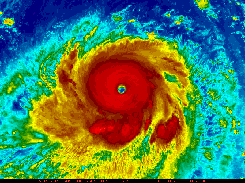
Mohutný tajfun Mawar dosáhl nejvyšší kategorie, v příštím týdnu zřejmě zamíří k Tchaj-wanu
Datum
25.05.2023
Zdroj
goes.noaa.gov

Sdílej

Facebook